Xuất hiện siêu bão mạnh nhất thế giới đầu năm 2026
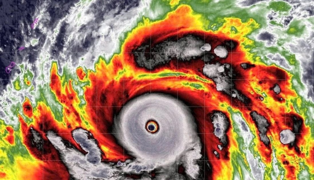
Tối ngày 12/4, bão Sinlaku đang hoạt động ngoài khơi xa của Philippines đã tăng cấp nhanh chóng, chính thức mạnh lên thành siêu bão, trở thành cơn bão có cường độ mạnh nhất trên thế giới tính từ đầu năm 2026 đến nay.
Theo thông tin từ Trung tâm Dự báo Khí tượng Thủy văn Quốc gia, tại thời điểm tối 12/4 (giờ Việt Nam), siêu bão Sinlaku có áp suất trung tâm đạt 920 hPa, vượt qua cơn bão Maila từng hoạt động tại khu vực Australia với áp suất trung tâm 924 hPa trước đó.
Đây là cơn bão đầu tiên trong năm 2026 đạt đến cấp độ siêu bão với cường độ rất mạnh ngay trong tháng 4. Đáng chú ý, kể từ sau siêu bão Surigae năm 2021, đây là lần đầu tiên một cơn bão đạt cường độ tương tự trong tháng 4, đồng thời chỉ là lần thứ ba kể từ năm 1977 xuất hiện siêu bão mạnh ở thời điểm sớm như vậy trong năm.

Như vậy, Sinlaku được ghi nhận là một trong ba cơn bão mạnh nhất từng xuất hiện trong tháng 4 kể từ năm 1977 đến nay.
Các chuyên gia khí tượng cho biết, bão Sinlaku hình thành từ một áp thấp nhiệt đới ngoài khơi xa của Philippines và đã tăng cường độ rất nhanh chỉ sau hơn hai ngày. Nguyên nhân chủ yếu là do các điều kiện khí tượng và hải dương đặc biệt thuận lợi, bao gồm nhiệt độ mặt nước biển cao, nguồn năng lượng nhiệt từ đại dương dồi dào và độ đứt gió tầng cao ở mức yếu.
Về hướng di chuyển, trong đêm 12/4 và ngày 13/4, bão Sinlaku được dự báo di chuyển theo hướng Tây Bắc với tốc độ khoảng 15 km/giờ. Sau đó, bão có khả năng đổi hướng lên phía Bắc, rồi tiếp tục chuyển sang hướng Bắc Đông Bắc.
Theo dự báo hiện tại, khả năng bão đi vào Biển Đông là rất thấp. Khoảng từ ngày 16 đến 17/4, bão được dự kiến di chuyển đến vùng biển phía Đông của Nhật Bản và suy yếu dần về cường độ.
Các chuyên gia cũng cảnh báo rằng, trong bối cảnh biến đổi khí hậu và nhiệt độ đại dương tăng, nguy cơ xuất hiện các cơn bão có cường độ rất mạnh, thậm chí siêu bão, đang có xu hướng gia tăng. Tại khu vực Biển Đông trong năm 2026, số lượng bão có thể không nhiều, song khả năng xuất hiện các cơn bão mạnh, diễn biến bất thường vẫn cần được theo dõi chặt chẽ.




